http://www.bip.gov.pl
  Drukuj strone
Gmina Miejska Górka
Urząd Miejski
Organy władzy publicznej
Rada Miejska
Skład Rady Miejskiej
Komisje Rady Miejskiej
Protokoły z Sesji
Uchwały Rady Miejskiej
Uchwały Rady Miejskiej 2020 r.
Uchwały Rady Miejskiej 2019 r.
Uchwały Rady Miejskiej 2018 r.
Uchwały Rady Miejskiej 2017r.
Uchwały Rady Miejskiej 2016 r.
Uchwały Rady Miejskiej 2015
Uchwały Rady Miejskiej 2014 r.
Uchwały Rady Miejskiej 2013 r.
Uchwały Rady Miejskiej 2012 r.
Uchwały Rady Miejskiej 2011 r.
Uchwały Rady Miejskiej 2010 r.
Uchwały Rady Miejskiej 2009 r.
Uchwały Rady Miejskiej 2008 r.
Uchwały Rady Miejskiej 2007 r.
Uchwały Rady Miejskiej 2006 r.
Uchwały Rady Miejskiej 2005 r.
Porządek obrad najbliższej Sesji
Sesje Rady - wideo
Imienne głosowanie Radnych
Wnioski i interpelacje Radnych
Zbiór aktów prawa miejscowego
Burmistrz
Raport o stanie Gminy
Jednostki organizacyjne samorządu terytorialnego
Zamówienia Publiczne
Przetargi
Petycje
Wybory
Procedury Obsługi Interesanta
Praca
Deklaracja dostępności
Koordynator do spraw dostępności
Oświadczenia majątkowe
RODO
Konsultacje społeczne
Informacje


 
Uchwały Rady Miejskiej 2012 r. 
Uchwały Rady Miejskiej
 
data publikacji:  27-12-2012 | 12:06
data ostatniej modyfikacji:  27-12-2012 | 12:06
ostatnio modyfikowal: Karol Skrzypczak
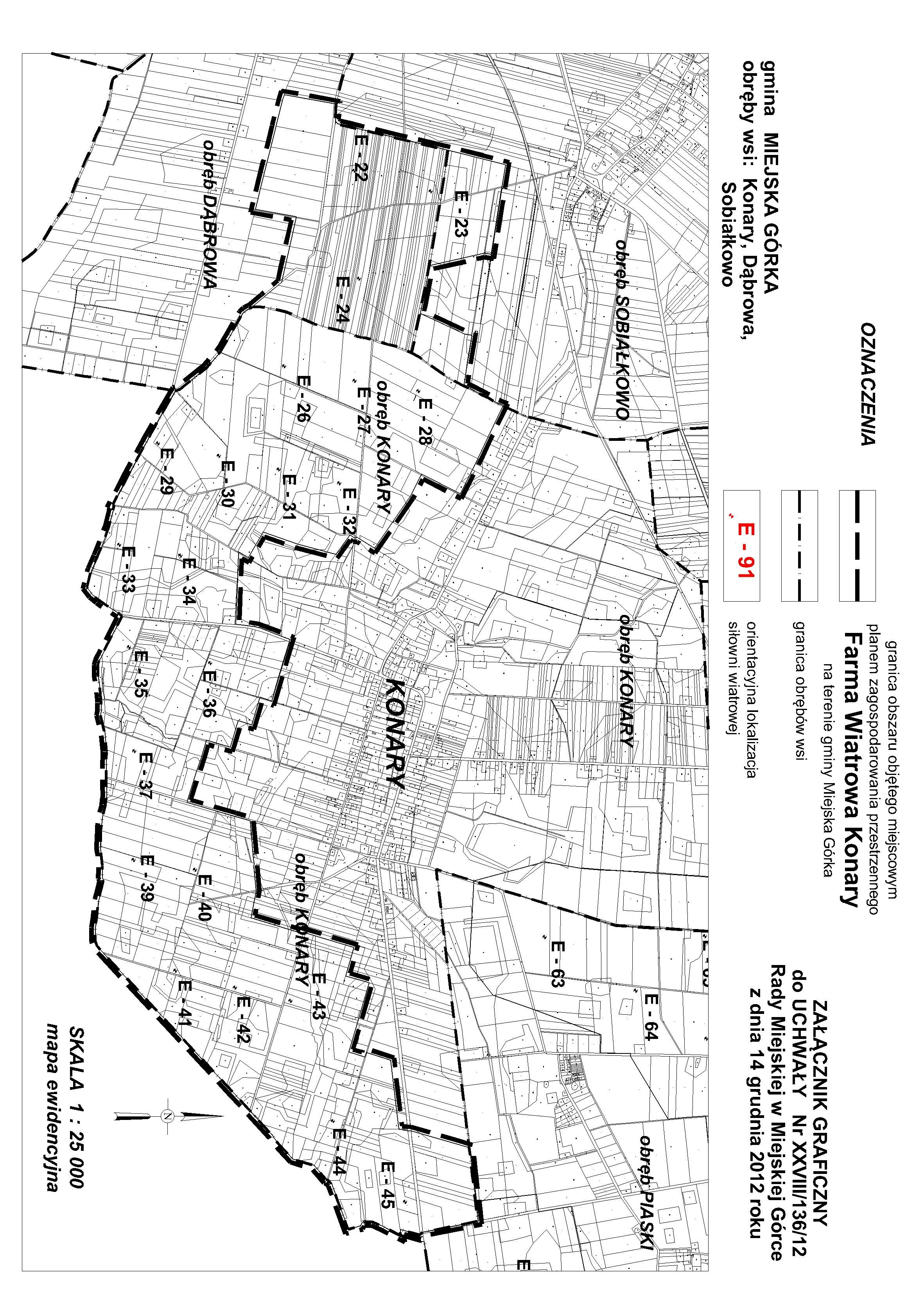
UCHWAŁA XXVIII/137/12 w sprawie: przystąpienia do sporządzenia miejscowego planu zagospodarowania przestrzennego Farma Wiatrowa Konary na terenie gminy Miejska Górka. 27.12.2012

 

UCHWAŁA XXVIII/137/12
RADY MIEJSKIEJ W MIEJSKIEJ GÓRCE
z dnia 14 grudnia 2012r.
 
 
w sprawie: przystąpienia do sporządzenia miejscowego planu zagospodarowania przestrzennego Farma Wiatrowa Konary na terenie gminy Miejska Górka.
 
 
Na podstawie art. 18 ust. 2 pkt. 5 ustawy z dnia 8 marca 1990 roku o samorządzie gminnym (tekst jednolity Dz. U. 2001r. nr 142 poz. 1591 ze zmianami) oraz z art. 14. ust. 1 i 2 ustawy z dnia 27 marca 2003 r. o planowaniu i zagospodarowaniu przestrzennym (tekst jednolity Dz. U. z 2012r. poz. 647),Rada Miejska w Miejskiej Górce uchwala, co następuje:
 
§1
 
Przystępuje się do sporządzenia miejscowego planu zagospodarowania przestrzennego Farma Wiatrowa Konary na terenie gminy Miejska Górka, celem określenia lokalizacji siłowni wiatrowych wraz z towarzyszącą infrastrukturą techniczną.
 
§2
 
Granice obszaru objętego planem miejscowym określa załącznik graficzny do uchwały, będący jej integralną częścią. Obszar zawiera działki w obrębach miejscowości Konary, Dąbrowa i Sobiałkowo, gmina Miejska Górka.
 
§3
 
Wykonanie uchwały powierza się Burmistrzowi Miejskiej Górki.
 
§4
 
Uchwała wchodzi w życie z dniem podjęcia.
 
 
 
 
 
 
 
 
 
 
 
 
 
 
 
 
««« powrót
 
 


Interaktywna Polska